タカセ不動産HOME > 店舗検索 > 泉佐野店 > 買う > 物件詳細

| 価格 | 2,460 万円 | ||
|---|---|---|---|
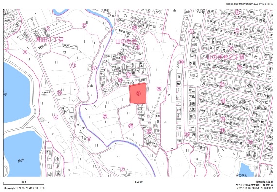
| 所在地 | 大阪府泉南郡熊取町山の手台一丁目 | ||
| 交通 |
阪和線 熊取駅 徒歩31分 |
||
| 学校区 | 熊取町立中央小学校 1,170 m 熊取町立熊取中学校 740 m | ||
| 土地面積 |
登記簿 1162.84 ㎡ ( 351.75 坪 ) |
||
\\土地面積 約350坪・接道幅 約38m・平坦地//
▶アパート・店舗・事務所など多用途に対応可能!
▶駐車計画や動線づくりの自由度が高い!
約350坪のゆとりある敷地に、前面約38mの接道を備えた土地です。
建物配置や駐車レイアウトを柔軟に検討でき、アパート用地としても、店舗・事務所としても計画を進めやすい点が魅力です!
平坦地のため造成負担も少なく、幅広い用途に適した形状です。
………………………………………………………………………………………
周辺環境
落ち着いた住宅地に位置し、穏やかな生活環境が広がる立地です。
保育園・小中学校が近く、地域に根づいた店舗や事務所としても利用しやすい環境です!
【アクセス】
◇阪和線/熊取駅 徒歩31分
【周辺施設】
◇お買い物施設
松源 熊取五門店 920m
ローソン熊取朝代店 1.1km
イオン日根野店 3km
◇教育施設
アトム共同保育園 801m
熊取町立南小学校 1.2km
熊取町立熊取中学校 809m
◇医療施設
木本内科 650m
◇他
JA大阪泉州熊取 840m
熊取野田郵便局 696m
南山の手台5号公園 858m
————————————————————————————————————————
[お問合せ]
■℡:072-464-4306
■ページ下部のメールフォームからもどうぞ!
ぜひお気軽にお問い合わせください!!
不動産に関することならどんなことでもお任せください!
泉佐野店は熊取駅より徒歩約13分。駐車場もございますのでお車でも♪
ご予約いただければ、お迎えに上がります!

| 土地権利 | 所有権 | 地勢 | 平坦地 |
|---|---|---|---|
| 地目 | 田 | 用途 | 店舗・事務所用地 |
| 用途地域 | 第一種中高層住居専用地域 | 都市計画 | 市街化区域 |
| 建ぺい率 | 60 % | 容積率 | 200 % |
| 接道状況 | [ 東 / 道路幅員 約3m 接道幅 公道 約38 m ] |
私道有無 | |
| セットバック | 有 約19 ㎡ | ||
| 法令上の制限 | |||
| 周辺環境 | [ マツゲン ( ショッピング施設 ) 920 m ] [ 山の手台2号公園 ( 公園・文化・スポーツ施設 ) 340 m ] [ 木本内科 ( 医療施設 ) 650 m ] [ イオン日根野 ( ショッピング施設 ) 3000 m ] |
||
| 設備① | ・関西電力( 電気 ) ・公営( 水道 ) ・公共下水( 汚水 ) | ||
|---|---|---|---|
| 備考 | ※対象地の一部を近隣農家が通路として利用しております。
下水道引込無(受益者負担金:買主負担 ㎡/423円) |
||||
|---|---|---|---|---|---|
| 取引態様 | 専任媒介 | 引渡し | 相談 | ||
| 現況 | 田 | 管理番号 | 05-43824 | ||
| 情報提供日 | 2025年12月5日 | 次回更新予定日 | 2026年1月4日 | ||
タカセ不動産 泉佐野店
大阪府泉佐野市南泉ケ丘1丁目6−14
072-464-4306

Copyright(c) タカセ不動産株式会社 All Rights Reserved