タカセ不動産HOME > 店舗検索 > 泉佐野店 > 買う > 物件詳細

| 価格 | 495 万円 | ||
|---|---|---|---|
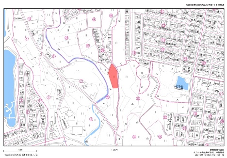
| 所在地 | 大阪府泉南郡熊取町山の手台一丁目 | ||
| 交通 |
阪和線 熊取駅 徒歩35分 |
||
| 学校区 | 熊取町立中央小学校 1,400 m 熊取町立熊取中学校 700 m | ||
| 土地面積 |
登記簿 996.61 ㎡ ( 301.47 坪 ) |
||
\\おすすめポイント!//
≪敷地面積300坪超≫
約301坪のゆとりある広さ。
資材や車両の管理からコンテナ設置、太陽光設備の配置まで、屋外での利用を幅広く検討できます!
全体が平坦でレイアウトを組み立てやすく、用途に合わせた動線づくりもしやすい点もメリットです。
≪貝塚IC・上之郷ICが車で10分前後≫
貝塚ICや上之郷ICへ車で向かいやすく、メンテナンスや搬入の際のアクセスが便利!
………………………………………………………………………………………
【アクセス】
◇JR阪和線/熊取駅 徒歩35分
【周辺施設】
◇お買い物施設
松源 熊取五門店 1.1km
ローソン熊取朝代店 898m
イオン日根野 3.4km
◇教育施設
アトム共同保育園 653m
熊取町立中央小学校 1.4km
熊取町立熊取中学校 700m
◇他
松木医院 679m
熊取野田郵便局 548m
貝塚IC 5km
上之郷IC 4.2km
————————————————————————————————————————
[お問合せ]
■℡:072-464-4306
■ページ下部のメールフォームからもどうぞ!
ぜひお気軽にお問い合わせください!!
不動産に関することならどんなことでもお任せください!
泉佐野店は熊取駅より徒歩約13分。駐車場もございますのでお車でも♪
ご予約いただければ、お迎えに上がります!

| 土地権利 | 所有権 | 地勢 | 平坦地 |
|---|---|---|---|
| 地目 | 田 | 用途 | その他 |
| 用途地域 | 第一種住居地域 | 都市計画 | 市街化区域 |
| 建ぺい率 | 60 % | 容積率 | 200 % |
| 接道状況 | [ 東 / 道路幅員 約2m 接道幅 公道 約62 m ] |
私道有無 | |
| セットバック | 有 約62 ㎡ | ||
| 法令上の制限 | |||
| 周辺環境 | [ JR日根野駅 ( その他 ) 3600 m ] [ 貝塚IC ( その他 ) 5000 m ] [ 上之郷IC ( その他 ) 4200 m ] [ イオン日根野 ( ショッピング施設 ) 3400 m ] |
||
| 設備① | ・関西電力( 電気 ) ・個別浄化( 汚水 ) | ||
|---|---|---|---|
| 備考 | ※対象地の隣接地の19㎡(田 ※現況原野)、264㎡(原野)も売買の対象
・農地転用買主負担 ・非農地証明取得及び地目変更買主負担 ※前面道路に上下水道本管はなく、引込予定もありません。 ・対象地の148㎡部分は関西電力の地役権設定がされております。 ※対象地が一部計画道路予定地(泉州山手線)となっております。 |
||||
|---|---|---|---|---|---|
| 取引態様 | 専任媒介 | 引渡し | 相談 | ||
| 現況 | 田 | 管理番号 | 05-43803 | ||
| 情報提供日 | 2025年12月1日 | 次回更新予定日 | 2025年12月31日 | ||
タカセ不動産 泉佐野店
大阪府泉佐野市南泉ケ丘1丁目6−14
072-464-4306

Copyright(c) タカセ不動産株式会社 All Rights Reserved